|
|
Информационное сообщение о возможности предоставления земельного участка в д. Чумойтло
29.05.2025
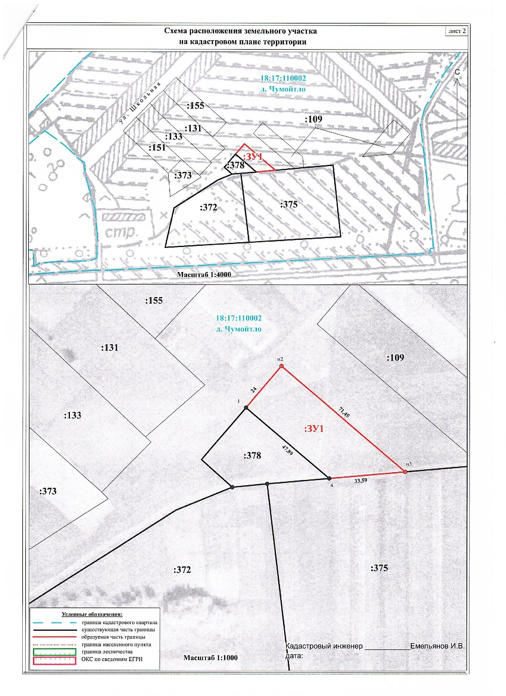
Администрация муниципального образования «Муниципальный округ Можгинский район Удмуртской Республики» в соответствии со ст. 39.18 Земельного кодекса Российской Федерации извещает о возможности предоставления земельного участка из земель населённых пунктов, расположенного: Удмуртская Республика, муниципальный округ Можгинский район, деревня Чумойтло, для индивидуального жилищного строительства. Площадь образуемого участка в соответствии со схемой расположения земельного участка на кадастровом плане территории составляет 1430 кв.м. Граждане, заинтересованные в предоставлении такого земельного участка, в течение тридцати дней со дня опубликования (размещения) настоящего извещения вправе подать заявление о намерении участвовать в аукционе по продаже земельного участка или аукционе на право заключения договора аренды земельного участка. Заявления о намерении участвовать в аукционе направляются в Администрацию муниципального образования «Муниципальный округ Можгинский район Удмуртской Республики», расположенную по адресу: 427790, Удмуртская Республика, город Можга, улица Можгинская, 59, кабинет 503, отдел имущественных отношений, тел. (34139) 3-24-84, лично или посредством почтовой связи на бумажном носителе по прилагаемой форме. Личный прием осуществляется с понедельника по пятницу с 8-00 до 17-00 часов, в предпраздничные дни до 16-00 часов, обед с 12-00 до 13-00 часов, кроме выходных и праздничных дней. Адрес и время приема граждан для ознакомления со схемой: 427790, Удмуртская Республика, г. Можга, ул. Можгинская, 59, каб. 503, с понедельника по пятницу с 8-00 до 17-00 часов, в предпраздничные дни до 16-00 часов, обед с 12-00 до 13-00 часов, кроме выходных и праздничных дней.
Дата окончания приема заявлений: 28.06.2025 года.
Форма заявки (скачать). Схема расположения земельного участка (скачать). |
© 2026 Муниципальное образование "Муниципальный округ Можгинский район Удмуртской Республики", официальный сайт
427790, Удмуртская Республика, г.Можга, ул. Можгинская, 59
тел.: 8 (34139) 3-17-04
факс: 8 (34139) 3-17-04
Эл. почта: mail@mozh.udmr.ru